dhis2-devs team mailing list archive
-
dhis2-devs team
-
Mailing list archive
-
Message #47856
Re: Phone number and double entry fields for 2.25 still persisting
-
To:
Abyot Asalefew Gizaw <abyot@xxxxxxxxx>
-
From:
"Smith, Rebecca A." <rs3524@xxxxxxxxxxxxxxxxx>
-
Date:
Tue, 22 Nov 2016 14:45:16 +0000
-
Accept-language:
en-US
-
Cc:
DHIS developers <dhis2-devs@xxxxxxxxxxxxxxxxxxx>
-
In-reply-to:
<CADV4mB9HZmdL9U-5i-sL566TuSACFrEJQ+Gtxvon=YSEBmHeUw@mail.gmail.com>
-
Thread-index:
AQHSRJxcRvwoAB67LkW5tMAf4/uNEKDlD81Q
-
Thread-topic:
[Dhis2-devs] Phone number and double entry fields for 2.25 still persisting
Thanks. We had intended to capture non-numeric text, not a single character.. So we’ll just switch to value type TEXT.
From: Abyot Asalefew Gizaw [mailto:abyot@xxxxxxxxx]
Sent: Tuesday, November 22, 2016 3:42 AM
To: Smith, Rebecca A.
Cc: DHIS developers
Subject: Re: [Dhis2-devs] Phone number and double entry fields for 2.25 still persisting
Hi Rebecca,
Yes, value type LETTER is not supported at the moment - but we will implement it for the next release.
In the mean time, is it possible for you to use value type TEXT instead of LETTER. With value type LETTER, the system allows you to capture only one character. If this is really what you wanted, use value type TEXT and enter only one character.
--
Abyot A. Gizaw.
Senior Engineer, DHIS2
University of Oslo
http://www.dhis2.org
On Mon, Nov 21, 2016 at 6:47 PM, Smith, Rebecca A. <rs3524@xxxxxxxxxxxxxxxxx<mailto:rs3524@xxxxxxxxxxxxxxxxx>> wrote:
Hi Abyot and team,
I’m getting a similar “unsupported value type” error for “letters only” text in the program attributes.
[cid:image001.jpg@01D244A3.2F2D1F50]
It’s occurring on both my instance and the demo server.
Version:
2.25
Build revision:
0a8fe47
Appreciate your help. Thanks,
Becky
From: Dhis2-devs [mailto:dhis2-devs-bounces+rs3524<mailto:dhis2-devs-bounces%2Brs3524>=cumc.columbia.edu@xxxxxxxxxxxxxxxxxxx<mailto:cumc.columbia.edu@xxxxxxxxxxxxxxxxxxx>] On Behalf Of Prosper BT
Sent: Monday, November 21, 2016 7:56 AM
To: Abyot Asalefew Gizaw
Cc: Nyaga, Rufus | APHL; Rachael W.; nelson akenga; DHIS developers
Subject: Re: [Dhis2-devs] Phone number and double entry fields for 2.25 still persisting
Thanks Abyot,
Tested it in Incognito and works
Regards
Prosper Behumbiize, MPH
DHIS2 Implementation| HISP Uganda/University Of Oslo
+256 752 751 776 | +256 776 139 139
prosper@xxxxxxxxxxxxxx<mailto:ptb3000@xxxxxxxxx> | prosper@xxxxxxxxx<mailto:prosper@xxxxxxxxx> | Skype: prospertb
On Mon, Nov 21, 2016 at 3:09 PM, Abyot Asalefew Gizaw <abyot@xxxxxxxxx<mailto:abyot@xxxxxxxxx>> wrote:
It is working fine here. May be a cache issue...
[Inline image 2]
--
Abyot A. Gizaw.
Senior Engineer, DHIS2
University of Oslo
http://www.dhis2.org
On Mon, Nov 21, 2016 at 10:50 AM, Nyaga, Rufus | APHL <Rufus.Nyaga@xxxxxxxxxxxx<mailto:Rufus.Nyaga@xxxxxxxxxxxx>> wrote:
Hi Abyot,
I have also noted the coordinate field type does not work on the app it throws an error “Unsupported value type : Coordiate”
RUFUS K. NYAGA
LIS Technical Consultant and PM
Association of Public Health Laboratories
P +254 720 261 486
From: Prosper BT [mailto:ptb3000@xxxxxxxxx<mailto:ptb3000@xxxxxxxxx>]
Sent: Monday, November 21, 2016 11:35 AM
To: Abyot Asalefew Gizaw <abyot@xxxxxxxxx<mailto:abyot@xxxxxxxxx>>
Cc: Lars Helge Øverland <lars@xxxxxxxxx<mailto:lars@xxxxxxxxx>>; DHIS developers <dhis2-devs@xxxxxxxxxxxxxxxxxxx<mailto:dhis2-devs@xxxxxxxxxxxxxxxxxxx>>; Nyaga, Rufus | APHL <Rufus.Nyaga@xxxxxxxxxxxx<mailto:Rufus.Nyaga@xxxxxxxxxxxx>>; Rachael W. <raywanjiru@xxxxxxxxx<mailto:raywanjiru@xxxxxxxxx>>; nelson akenga <nakenga@xxxxxxxxxxx<mailto:nakenga@xxxxxxxxxxx>>
Subject: Re: Phone number and double entry fields for 2.25 still persisting
Hi Abyot,
The screen shot is taken from the current build on the demo server, actually the data elements I created them today they are still available.
Got to the event and choose Inpatient morbidity mortality
Regards
Prosper Behumbiize, MPH
DHIS2 Implementation| HISP Uganda/University Of Oslo
+256 752 751 776 | +256 776 139 139
prosper@xxxxxxxxxxxxxx<mailto:ptb3000@xxxxxxxxx> | prosper@xxxxxxxxx<mailto:prosper@xxxxxxxxx> | Skype: prospertb
On Mon, Nov 21, 2016 at 10:11 AM, Abyot Asalefew Gizaw <abyot@xxxxxxxxx<mailto:abyot@xxxxxxxxx>> wrote:
Hi Prosper,
Yes, it is fixed. Seems a wrong version of the app is picked... can you reproduce this in our demo and dev servers?
--
Abyot A. Gizaw.
Senior Engineer, DHIS2
University of Oslo
http://www.dhis2.org
On Mon, Nov 21, 2016 at 7:17 AM, Prosper BT <ptb3000@xxxxxxxxx<mailto:ptb3000@xxxxxxxxx>> wrote:
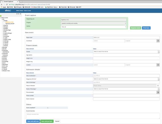
Dear Abyot and team,
Reading your last communications, you had said these were fixed, are they reappearing?
Phone number field and double entry fields for text. This is taken from the latest build of demo 2.25.
[Inline image 1]
Prosper Behumbiize, MPH
DHIS2 Implementation| HISP Uganda/University Of Oslo
+256 752 751 776 | +256 776 139 139
prosper@xxxxxxxxxxxxxx<mailto:ptb3000@xxxxxxxxx> | prosper@xxxxxxxxx<mailto:prosper@xxxxxxxxx> | Skype: prospertb
_______________________________________________
Mailing list: https://launchpad.net/~dhis2-devs
Post to : dhis2-devs@xxxxxxxxxxxxxxxxxxx<mailto:dhis2-devs@xxxxxxxxxxxxxxxxxxx>
Unsubscribe : https://launchpad.net/~dhis2-devs
More help : https://help.launchpad.net/ListHelp



References