dhis2-devs team mailing list archive
-
dhis2-devs team
-
Mailing list archive
-
Message #47847
Re: Phone number and double entry fields for 2.25 still persisting
Hi Rebecca,
Yes, value type *LETTER* is not supported at the moment - but we will
implement it for the next release.
In the mean time, is it possible for you to use value type *TEXT* instead
of *LETTER*. With value type *LETTER*, the system allows you to capture
only one character. If this is really what you wanted, use value type *TEXT*
and enter only one character.
--
Abyot A. Gizaw.
Senior Engineer, DHIS2
University of Oslo
http://www.dhis2.org
On Mon, Nov 21, 2016 at 6:47 PM, Smith, Rebecca A. <rs3524@xxxxxxxxxxxxxxxxx
> wrote:
> Hi Abyot and team,
>
>
>
> I’m getting a similar “unsupported value type” error for “letters only”
> text in the program attributes.
>
>
>
> It’s occurring on both my instance and the demo server.
>
> Version:
>
> 2.25
>
> Build revision:
>
> 0a8fe47
>
>
>
> Appreciate your help. Thanks,
>
> Becky
>
>
>
> *From:* Dhis2-devs [mailto:dhis2-devs-bounces+rs3524=cumc.columbia.edu@
> lists.launchpad.net] *On Behalf Of *Prosper BT
> *Sent:* Monday, November 21, 2016 7:56 AM
> *To:* Abyot Asalefew Gizaw
> *Cc:* Nyaga, Rufus | APHL; Rachael W.; nelson akenga; DHIS developers
> *Subject:* Re: [Dhis2-devs] Phone number and double entry fields for 2.25
> still persisting
>
>
>
> Thanks Abyot,
>
>
>
> Tested it in Incognito and works
>
>
>
> Regards
>
>
> Prosper Behumbiize, MPH
>
> DHIS2 Implementation| HISP Uganda/University Of Oslo
> +256 752 751 776 | +256 776 139 139
>
> prosper@xxxxxxxxxxxxxx <ptb3000@xxxxxxxxx> | prosper@xxxxxxxxx | Skype:
> prospertb
>
>
>
> On Mon, Nov 21, 2016 at 3:09 PM, Abyot Asalefew Gizaw <abyot@xxxxxxxxx>
> wrote:
>
> It is working fine here. May be a cache issue...
>
> [image: Inline image 2]
>
>
> --
>
> Abyot A. Gizaw.
>
> Senior Engineer, DHIS2
>
> University of Oslo
>
> http://www.dhis2.org
>
>
>
> On Mon, Nov 21, 2016 at 10:50 AM, Nyaga, Rufus | APHL <
> Rufus.Nyaga@xxxxxxxxxxxx> wrote:
>
> Hi Abyot,
>
>
>
> I have also noted the coordinate field type does not work on the app it
> throws an error “Unsupported value type : Coordiate”
>
>
>
>
>
> *RUFUS K. NYAGA*
>
> LIS Technical Consultant and PM
> *Association of Public Health Laboratories*
>
> *P* +254 720 261 486
>
>
>
> *From:* Prosper BT [mailto:ptb3000@xxxxxxxxx]
> *Sent:* Monday, November 21, 2016 11:35 AM
> *To:* Abyot Asalefew Gizaw <abyot@xxxxxxxxx>
> *Cc:* Lars Helge Øverland <lars@xxxxxxxxx>; DHIS developers <
> dhis2-devs@xxxxxxxxxxxxxxxxxxx>; Nyaga, Rufus | APHL <
> Rufus.Nyaga@xxxxxxxxxxxx>; Rachael W. <raywanjiru@xxxxxxxxx>; nelson
> akenga <nakenga@xxxxxxxxxxx>
> *Subject:* Re: Phone number and double entry fields for 2.25 still
> persisting
>
>
>
> Hi Abyot,
>
>
>
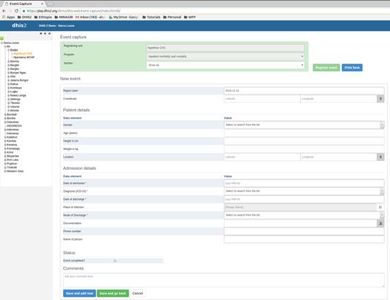
> The screen shot is taken from the current build on the demo server,
> actually the data elements I created them today they are still available.
>
>
>
> Got to the event and choose Inpatient morbidity mortality
>
>
>
> Regards
>
>
> Prosper Behumbiize, MPH
>
> DHIS2 Implementation| HISP Uganda/University Of Oslo
> +256 752 751 776 | +256 776 139 139
>
> prosper@xxxxxxxxxxxxxx <ptb3000@xxxxxxxxx> | prosper@xxxxxxxxx | Skype:
> prospertb
>
>
>
> On Mon, Nov 21, 2016 at 10:11 AM, Abyot Asalefew Gizaw <abyot@xxxxxxxxx>
> wrote:
>
> Hi Prosper,
>
>
>
> Yes, it is fixed. Seems a wrong version of the app is picked... can you
> reproduce this in our demo and dev servers?
>
>
> --
>
> Abyot A. Gizaw.
>
> Senior Engineer, DHIS2
>
> University of Oslo
>
> http://www.dhis2.org
>
>
>
> On Mon, Nov 21, 2016 at 7:17 AM, Prosper BT <ptb3000@xxxxxxxxx> wrote:
>
> Dear Abyot and team,
>
>
>
> Reading your last communications, you had said these were fixed, are they
> reappearing?
>
>
>
> Phone number field and double entry fields for text. This is taken from
> the latest build of demo 2.25.
>
>
>
> [image: Inline image 1]
>
>
>
>
>
>
>
> Prosper Behumbiize, MPH
>
> DHIS2 Implementation| HISP Uganda/University Of Oslo
> +256 752 751 776 | +256 776 139 139
>
> prosper@xxxxxxxxxxxxxx <ptb3000@xxxxxxxxx> | prosper@xxxxxxxxx | Skype:
> prospertb
>
>
>
>
>
>
>
>
>
> _______________________________________________
> Mailing list: https://launchpad.net/~dhis2-devs
> Post to : dhis2-devs@xxxxxxxxxxxxxxxxxxx
> Unsubscribe : https://launchpad.net/~dhis2-devs
> More help : https://help.launchpad.net/ListHelp
>
>



Follow ups
References